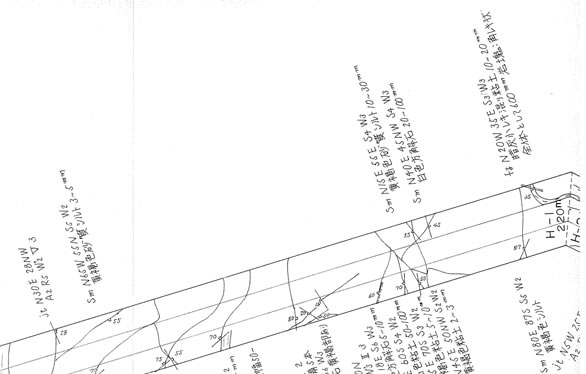
横坑展開図(不連続面調査)